kontakt
CENTRUM NIERUCHOMOŚCI 2
(68)347 31 90
Administratorem danych osobowych jest AMK Portal sp. z o.o.
działka na sprzedaż Nowe Tłoki, 245 520 zł, 13.64 ar, gaz w drodze
245 520zł
13,64ar (1 364m²)
18 000 zł/ar
(180 zł/m²)
Nowe Tłoki
Opis
Działka w spokojnej okolicy w sąsiedztwie lasu!
NA SPRZEDAŻ DZIAŁKI BUDOWLANE W SĄSIEDZTWIE LASU!
Zapraszamy do zapoznania się z propozycją sprzedaży dwóch działek budowlanych w miejscowości Głodno (na granicy Nowych Tłok).
DOSTĘPNE WIELKOŚCI DZIAŁEK:
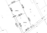
- 1364 m2- cena 245 520 zł
- 1568 m2- cena 282 240 zł
POŁOŻENIE NIERUCHOMOŚCI:
Nieruchomość położona w sąsiedztwie zabudowań mieszkalnych oraz zabudowy zagrodowej.
Działki położone przy drodze gminnej- polnej - w okolicach 200 metrów od działek w trakcie realizacji utwardzenie drogi nową nawierzchnią z kostki brukowej.
Działki z łatwym dostępem do infrastruktury miasta (do Wolsztyna około 4 km od centrum).
NAJBLIŻSZE OTOCZENIE:
Sąsiadującą zabudowę stanowią domy wolnostojące, zabudowa letniskowa oraz zagroda.
MEDIA:
Prąd- zapewnienia ENEA- w drodze głównej -gminnej,
Woda- własna studnia,
Kanalizacja- brak- szambo
Gaz- w drodze głównej- gminnej,
ZALETY NIERUCHOMOŚCI:
- atrakcyjne sąsiedztwo lasu i przyrody,
- pożądana wielkość działek (dla miłośników większego areału),
- odległość od infrastruktury miasta około 4 km od Wolsztyna,
- bardzo spokojna okolica,
Masz dodatkowe pytania- zapraszam do kontaktu!
Do kogo się dodzwonisz?
Mam na imię Regina i od lat pomagam spełniać marzenia moich klientów.
Powyższy opis nie stanowi oferty w rozumieniu przepisów Kodeksu Cywilnego.
DODATKOWE INFORMACJE:
Typ własności: własność
Kanalizacja: szambo
Prąd: jest
Gaz: w drodze
Woda: brak
Kształt działki: prostokąt
Długość działki: 50
Szerokość działki: 30
Typ drogi: polna
Typ ogrodzenia: brak
Typ ulicy: spokojna
Warunki zabudowy: Budowa domu jednorodzinnego
Sąsiedztwo: Domy jednorodzinne, zabudowa siedliskowa
Typ działki: budowlana
DANE KONTAKTOWE:
Centrum Nieruchomości Regina Brendel
Treść niniejszego ogłoszenia nie stanowi oferty handlowej w rozumieniu Kodeksu Cywilnego.
Oferta wysłana z programu IMO dla biur nieruchomości
Zapraszamy do zapoznania się z propozycją sprzedaży dwóch działek budowlanych w miejscowości Głodno (na granicy Nowych Tłok).
DOSTĘPNE WIELKOŚCI DZIAŁEK:
- 1364 m2- cena 245 520 zł
- 1568 m2- cena 282 240 zł
POŁOŻENIE NIERUCHOMOŚCI:
Nieruchomość położona w sąsiedztwie zabudowań mieszkalnych oraz zabudowy zagrodowej.
Działki położone przy drodze gminnej- polnej - w okolicach 200 metrów od działek w trakcie realizacji utwardzenie drogi nową nawierzchnią z kostki brukowej.
Działki z łatwym dostępem do infrastruktury miasta (do Wolsztyna około 4 km od centrum).
NAJBLIŻSZE OTOCZENIE:
Sąsiadującą zabudowę stanowią domy wolnostojące, zabudowa letniskowa oraz zagroda.
MEDIA:
Prąd- zapewnienia ENEA- w drodze głównej -gminnej,
Woda- własna studnia,
Kanalizacja- brak- szambo
Gaz- w drodze głównej- gminnej,
ZALETY NIERUCHOMOŚCI:
- atrakcyjne sąsiedztwo lasu i przyrody,
- pożądana wielkość działek (dla miłośników większego areału),
- odległość od infrastruktury miasta około 4 km od Wolsztyna,
- bardzo spokojna okolica,
Masz dodatkowe pytania- zapraszam do kontaktu!
Do kogo się dodzwonisz?
Mam na imię Regina i od lat pomagam spełniać marzenia moich klientów.
Powyższy opis nie stanowi oferty w rozumieniu przepisów Kodeksu Cywilnego.
DODATKOWE INFORMACJE:
Typ własności: własność
Kanalizacja: szambo
Prąd: jest
Gaz: w drodze
Woda: brak
Kształt działki: prostokąt
Długość działki: 50
Szerokość działki: 30
Typ drogi: polna
Typ ogrodzenia: brak
Typ ulicy: spokojna
Warunki zabudowy: Budowa domu jednorodzinnego
Sąsiedztwo: Domy jednorodzinne, zabudowa siedliskowa
Typ działki: budowlana
DANE KONTAKTOWE:
Centrum Nieruchomości Regina Brendel
Treść niniejszego ogłoszenia nie stanowi oferty handlowej w rozumieniu Kodeksu Cywilnego.
Oferta wysłana z programu IMO dla biur nieruchomości
Szczegóły
Typ nieruchomości:
działka na sprzedaż
Dodano:
2024-04-24 12:11:01
Ostatnia aktualizacja:
2024-07-08 20:03:01
Powierzchnia:
1 364 m² (13,64)
Cena:
245 520 zł.
Cena za m²:
180 zł.
Cena za ar:
18 000 zł.
Lokalizacja:
Nowe Tłoki
Podłączenie wody:
brak
Gaz:
w drodze
Agent prowadzący:
Centrum Nieruchomości Regina Brendel
Wyłączność:
Nie
Zwolnienie z prowizji:
Nie
Forma własności:
własność
Energia elektryczna:
Tak
Kanalizacja:
Tak
Typ działki:
budowlana
Szerokość działki:
30
Długość działki:
50
Ogrodzenie:
brak
Droga dojazdowa:
polna
Pośrednik:
CENTRUM NIERUCHOMOŚCI 2
Nr ogłoszenia:
klikmapa-1112002
Skontaktuj się z ogłoszeniodawcą
Administratorem danych osobowych jest AMK Portal sp. z o.o.
CENTRUM NIERUCHOMOŚCI 2
(68)347 31 90